Nightdive desaster at AO Sane beach
That happens when you join the wrong group. I was so curious about my first nightdive. I just wanted to get down to the bottom and wait and film what happens. Instead, I have swum after a group of beginners who probably wanted to break some speed record.
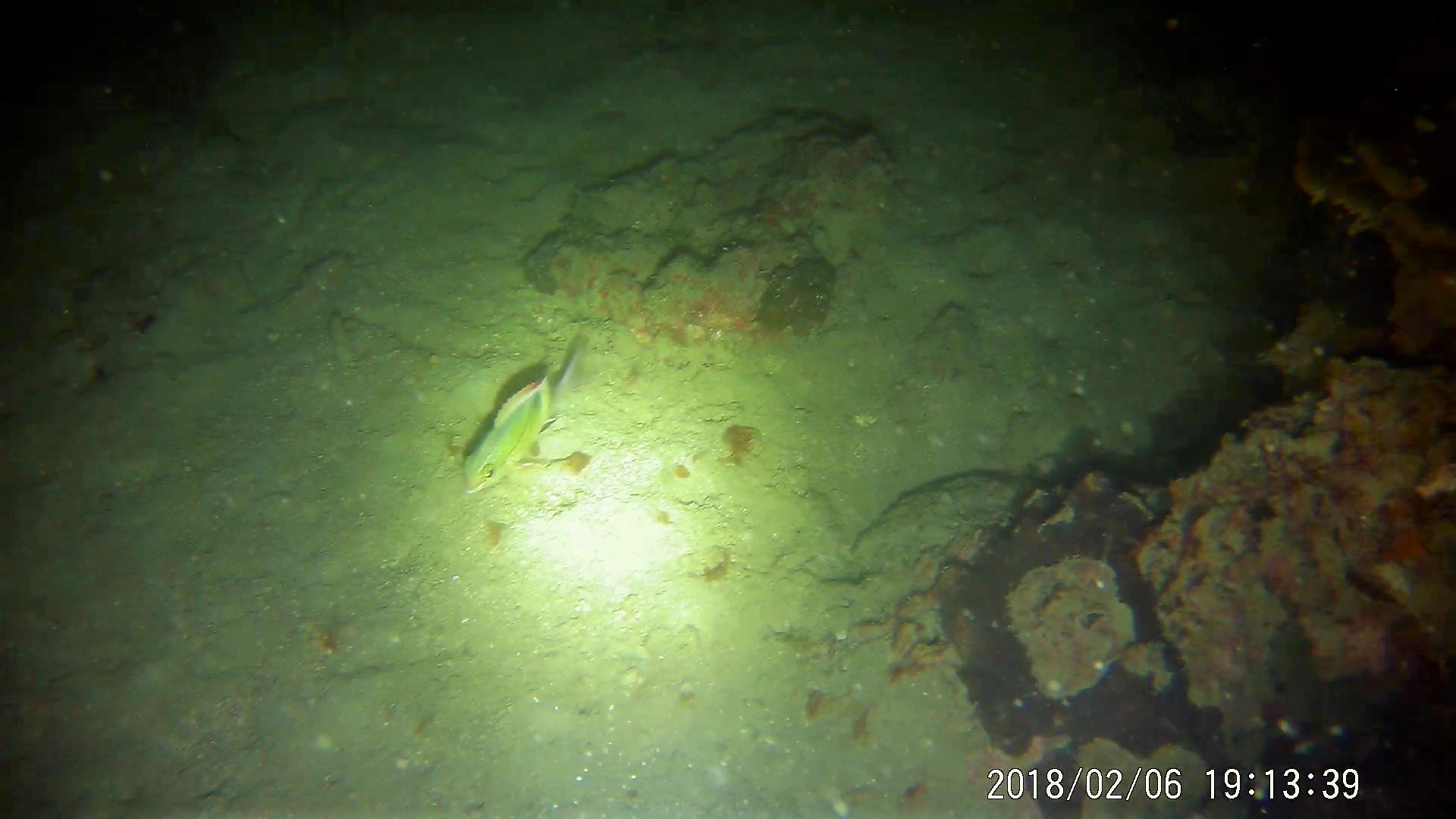
I have seen little. Here are some screnshots from the video below.
But I also made mistakes. My light was too bright for close-ups.
Next time will be better.
Here maybe the best scene of the video.
the entire video, uncut. You see here above all, how not to do it.



Amazing exploration mystery about the sea bed and all its experience. Thanks for the great post @dirkzet-english and it is very educative to all those intending to take on the diving lessons.
With the experience and expertise in that area, it is my request that you open up a small training school for young and vibrant interested in that area you have taken years training and with all the lesson from diving with the related challenges, i can believe you can now sort such problem when given a chance to recruit new teams to specialize in that area especially in coral reef building underwater.
With that specialization in that area, diving can be regarded a good occupation especially for sub marines and life savers in case of any tragid in marine related challenges.
You did had a great time out in there buddy .
Liked the way he was crawling and you following ;)
That's a great traveling.....I appreciate your post.
keep it up my dear friend....
Amazing post,,
Wonderful diving.travel very beautiful.
I appreciate Thailand city.
Thank you:-)
Beautiful dlive night video
I like it this video. I appreciate your valuable Post.... best of luck.
very nice post
love to know it
great diving video.
That was kind of scary in the night but you managed to stunned us once again :)